bão
10/10/2025 | 12:21
Hà Nội ra cảnh báo nóng tới tất cả người dân
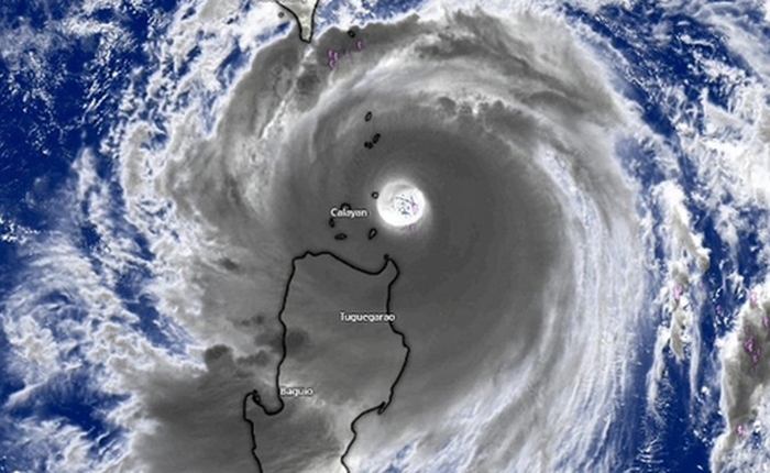
Sống -25/09/2025 | 09:03Trước diễn biến phức tạp của siêu bão Ragasa, Chủ tịch UBND TP. Hà Nội Trần Sỹ Thanh khuyến cáo người dân hạn chế ra đường khi bão đổ bộ.

Bão Wipha giật cấp 14, hàng không lên phương án điều chỉnh kế hoạch bay
Sống -21/07/2025 | 10:09(NLĐO)- Cục Hàng không Việt Nam vừa phát công điện tới các đơn vị liên quan trong ngành khẩn trương triển khai các biện pháp ứng phó bão số 3 (bão Wipha).

Cảnh báo bão đông bắc trở nên hung dữ hơn 80 năm qua
Khám phá -19/07/2025 | 19:00TPO - Một nghiên cứu mới phát hiện ra rằng, những cơn bão đông bắc mạnh nhất, loại bão Bắc Đại Tây Dương có thể gây ra những tác động tàn phá dọc theo bờ biển phía Đông nước Mỹ, dường như đang mạnh lên khi thế giới ấm lên.

Đến giờ nhiều người vẫn không biết: Tại sao một số cơn bão có tên Tiếng Việt như bão Trà Mi?
Khám phá -23/10/2024 | 12:00Tháng 8 vừa rồi, bão Sơn Tinh đã đánh bại bão Ngộ Không trên vùng biển Nhật Bản.

Bộ Y tế khuyến cáo: Đảm bảo an toàn đối với thực phẩm hỗ trợ người dân vùng bão, lũ
Sống -14/09/2024 | 18:59Việc tự chế biến, đóng gói thực phẩm và hút chân không có thể giúp kéo dài thêm thời gian bảo quản thực phẩm nhưng có thể có nguy cơ không đảm bảo an toàn thực phẩm do việc chế biến không đảm bảo vệ sinh.

Hướng dẫn cập nhật liên tục thông tin cảnh báo thiên tai trên toàn quốc
Thủ thuật -10/09/2024 | 18:59Người dân cần cập nhật liên tục các thông tin cảnh báo để ứng phó trước diễn biến phức tạp sau bão số 3.

Từ "Mùa hè đen" ở Canada đến siêu bão Yagi: Chúng ta mới chỉ đang "dùng thử" một Trái Đất +1.5 độ C so với thời kỳ tiền công nghiệp
Khám phá -09/09/2024 | 21:23Là "giọt nước tràn ly" của một Trái Đất đã nóng hơn 1,5 độ C trong suốt 1 năm qua, nhưng bão Yagi mới chỉ là khởi đầu cho một chu kỳ La Nina sắp tới, được dự báo sẽ còn đầy khốc liệt.

Tại sao cây cối gãy đổ ngổn ngang sau bão Yagi, chỉ riêng cây cau là đứng vững?
Khám phá -08/09/2024 | 21:41Cau có thể tồn tại ở các quốc gia giáp Thái Bình Dương, từ kỷ Phấn trắng cho tới ngày nay, bởi tiến hóa đã trang bị cho loài cây này những đặc tính để đứng kiên cường trong gió bão.

Ba yếu tố khiến bão YAGI có sức phá huỷ kinh hoàng
Khám phá -08/09/2024 | 18:27TPO - Cường độ bão khi vào đất liền mạnh nhất trong 30 năm qua, thời gian quần thảo lâu, vùng bão đi qua có địa hình khá bằng phẳng, đông dân cư là những yếu tố khiến bão YAGI có sức tàn phá kinh hoàng.

Những 'thợ săn' lốc xoáy
Khám phá -22/07/2024 | 18:59TP - Lốc xoáy hình thành như thế nào vẫn là một trong những bí ẩn lớn nhất của thiên nhiên. Một số nhà khoa học đang tìm cách khám phá bí mật của những cơn bão hủy diệt này bằng cách theo đuổi chúng.

Mùa bão năm nay có thể chứng kiến nhiều trận cuồng phong kỷ lục
Khám phá -25/05/2024 | 18:45TPO - Các nhà khoa học tại Cơ quan Khí quyển và Đại dương Quốc gia (NOAA) của Mỹ đã đưa ra dự báo cao nhất từ trước đến nay về mùa bão Đại Tây Dương: 17 đến 25 cơn bão được đặt tên. Theo dự báo, 13 trong số những cơn bão này sẽ là bão cuồng phong với sức gió từ 119 km/giờ trở lên và từ 4 đến 7 cơn bão sẽ là bão lớn với sức gió từ 179 km/giờ trở lên.

Bão Mặt trời mạnh bất thường dội xuống Trái đất
Khám phá -11/05/2024 | 19:15TPO - Một cơn bão Mặt trời mạnh bất thường tấn công Trái đất trong cuối tuần này, có thể tạo ra các chùm ánh sáng ở Bắc Mỹ, gây gián đoạn nguồn điện và thông tin liên lạc.

"El Niño in your area": Điều gì sắp xảy đến với Việt Nam trong năm 2023-2024? (kỳ 2)
Khám phá -16/10/2023 | 19:49Kỷ lục xuất khẩu gạo năm 2012 đã tồn tại hơn một thập kỷ, nhưng năm nay, chúng ta đang đứng trước cơ hội vàng để phá vỡ nó, ngay trong một chu kỳ El Niño.

Phát hiện tình tiết khó hiểu về “ siêu bão” kéo dài 100 năm trên Sao Thổ
Khám phá -18/08/2023 | 14:35Những cơn bão khổng lồ trên Sao Thổ có thể bao quanh toàn bộ hành tinh và được nhìn thấy trong nhiều tháng. Nghiên cứu mới cho thấy tác động của chúng tồn tại lâu hơn hàng trăm năm so với cách chuyên gia nghĩ.

Tại sao bão không bao giờ hình thành ở xích đạo?
Khám phá -04/06/2023 | 10:27(Tổ Quốc) - Đây là lý do tại sao bão không hình thành ở đường xích đạo và tại sao chúng hiếm khi đi qua ranh giới của Bắc bán cầu và Nam bán cầu.
